ซื้อขายบ้านที่ดิน

ฝากขายบ้านที่ดิน. ฟรี

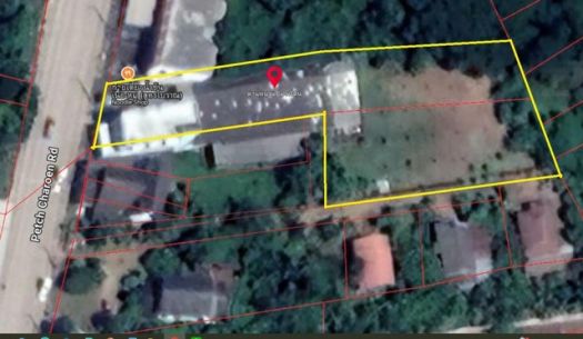
ประกาศขายที่ดิน เมืองเพชรบูรณ์ เพชรบูรณ์



ขายที่ดิน 1 ไร่กว่า พร้อมสิ่งปลูกสร้าง ผังสีชมพู ริมถนน ใจกลางเมื

B3 ขายที่ดิน 1 ไร่กว่า พร้อมสิ่งปลูกสร้าง ผังสีชมพู ริมถนนเพชรเจริญ ใจกลางเมืองเพชรบูรณ์
เหมาะสำหรับการลงทุน ทำโรงแรม หรือร้านค้าส่ง
ราคา: 16,000,000 บาท (ค่าโอนค่าภาษีฝ่ายละครึ่ง ราคาต่อรองได้)

รายละเอียดที่ดิน:

ขนาดที่ดิน 1 ไร่ 2 งาน 90 ตารางวา
สิ่งปลูกสร้างผังสีชมพู ขึ้นตึกได้หลายชั้น
เหมาะสำหรับการลงทุน เช่น ทำโรงแรม, ร้านค้า, หรือธุรกิจต่างๆ
ที่ดินถมสูง พร้อมขยายพื้นที่ได้
หน้าติดถนนใหญ่สามเลน รับลูกค้าหรือผู้เข้าพักได้สะดวก
ด้านหลังวิวแม่น้ำป่าสัก บรรยากาศสวยงาม เหมาะกับการพัฒนา
ที่ตั้ง: ถนนเพชรเจริญ ตำบลในเมือง อำเภอเมืองเพชรบูรณ์ เพชรบูรณ์

ติดต่อ:
โทร: 096-371-6438 (ณัฐ)
Line Add Friend: https://line.me/ti/p/5t8ik9DDxz
บ้าน/ที่ดินอยู่ในเขต: ต.ชอนไพร อ.เมืองเพชรบูรณ์ จ.เพชรบูรณ์
รายละเอียดบ้าน/ที่ดิน: ขนาด 1 ไร่ 2 งาน 90 ตาราวา
เอกสารสิทธิ์ที่ดิน: เอกสารสิทธิ์อื่นๆ
ราคา: 16,000,000
สนใจติดต่อ: ธนิสร
อีเมล์: [email protected]
โทรศัพท์: 0618959195
หมายเลขประกาศ: 1092394
แก้ไขประกาศขายบ้าน/ที่ดินล่าสุดเมื่อ 2025-03-05 07:19:43 น.

ประกาศขายบ้านและที่ดินเพชรบูรณ์

ขาย ที่ดิน 39 ไร่ 3 งาน 80 ตร.วา ใกล้อุทยานประวัติศาสตร์ศรีเทพ เพชรบูรณ์
ขาย ที่ดิน 39 ไร่ 3 งาน 80 ตร.วา ใกล้อุทยานประวัติศาสตร์ศรีเทพ เพชรบูรณ์ ::จุดเด่น:: 1.รถ10ล้อ เข้าได้ เพราะเป็นไร่อ้อย 2.มีแหล่งน้ำในแปลง 3.ใกล้โรงงานน้ำตาลและกลุ่มบริษัทน้ำตาลไทยรุ่งเรือง ::...
ขายที่ดิน เพชรบูรณ์ | เข้าชม 455 ครั้ง
ขาย ที่ดิน  39 ไร่ 3 งาน 80 ตร.วา ใกล้อุทยานประวัติศาสตร์ศรีเทพ เพชรบูรณ์
ขายที่ดินเปล่า โฉนดครุฑแดง เขาค้อ ต.แคมป์สน 179.6 ตร.วา ใกล้วัดพระธาตุผาซ่อนแก้ว แปลง07
ขาย ที่ดิน โฉนดครุฑแดง เขาค้อ ต.แคมป์สน 179.6 ตร.วา ใกล้วัดพระธาตุผาซ่อนแก้ว ขายที่ดิน 7 แปลง แปลง#1 ขนาด 217 ตร.วา ราคา 2,170,000 บาท หน้ากว้าง 32 ม. ลึก 33 ม. แปลง#2 ขนาด 382.5 ตร.วา ราคา 3...
ขายที่ดิน เพชรบูรณ์ | เข้าชม 467 ครั้ง
ขายที่ดินเปล่า โฉนดครุฑแดง เขาค้อ ต.แคมป์สน 179.6 ตร.วา ใกล้วัดพระธาตุผาซ่อนแก้ว แปลง07
ขายที่ดินเปล่า โฉนดครุฑแดง เขาค้อ ต.แคมป์สน 169.8 ตร.วา ใกล้วัดพระธาตุผาซ่อนแก้ว แปลง06
ขาย ที่ดิน โฉนดครุฑแดง เขาค้อ ต.แคมป์สน 169.8 ตร.วา ใกล้วัดพระธาตุผาซ่อนแก้ว ขายที่ดิน 7 แปลง แปลง#1 ขนาด 217 ตร.วา ราคา 2,170,000 บาท หน้ากว้าง 32 ม. ลึก 33 ม. แปลง#2 ขนาด 382.5 ตร.วา ราคา 3...
ขายที่ดิน เพชรบูรณ์ | เข้าชม 360 ครั้ง
ขายที่ดินเปล่า โฉนดครุฑแดง เขาค้อ ต.แคมป์สน 169.8 ตร.วา ใกล้วัดพระธาตุผาซ่อนแก้ว แปลง06
ขายที่ดินเปล่า โฉนดครุฑแดง เขาค้อ ต.แคมป์สน 66.8 ตร.วา ใกล้วัดพระธาตุผาซ่อนแก้ว แปลง05
ขาย ที่ดิน โฉนดครุฑแดง เขาค้อ ต.แคมป์สน 66.8 ตร.วา ใกล้วัดพระธาตุผาซ่อนแก้ว ขายที่ดิน 7 แปลง แปลง#1 ขนาด 217 ตร.วา ราคา 2,170,000 บาท หน้ากว้าง 32 ม. ลึก 33 ม. แปลง#2 ขนาด 382.5 ตร.วา ราคา 3,...
ขายที่ดิน เพชรบูรณ์ | เข้าชม 423 ครั้ง
ขายที่ดินเปล่า โฉนดครุฑแดง เขาค้อ ต.แคมป์สน 66.8 ตร.วา ใกล้วัดพระธาตุผาซ่อนแก้ว แปลง05
ขายที่ดินเปล่า โฉนดครุฑแดง เขาค้อ ต.แคมป์สน 200 ตร.วา ใกล้วัดพระธาตุผาซ่อนแก้ว แปลง04
ขาย ที่ดิน โฉนดครุฑแดง เขาค้อ ต.แคมป์สน 200 ตร.วา ใกล้วัดพระธาตุผาซ่อนแก้ว ขายที่ดิน 7 แปลง แปลง#1 ขนาด 217 ตร.วา ราคา 2,170,000 บาท หน้ากว้าง 32 ม. ลึก 33 ม. แปลง#2 ขนาด 382.5 ตร.วา ราคา 3,8...
ขายที่ดิน เพชรบูรณ์ | เข้าชม 335 ครั้ง
ขายที่ดินเปล่า โฉนดครุฑแดง เขาค้อ ต.แคมป์สน 200 ตร.วา ใกล้วัดพระธาตุผาซ่อนแก้ว แปลง04
ขายที่ดินเปล่า โฉนดครุฑแดง เขาค้อ ต.แคมป์สน 330.8 ตร.วา ใกล้วัดพระธาตุผาซ่อนแก้ว แปลง03
ขาย ที่ดิน โฉนดครุฑแดง เขาค้อ ต.แคมป์สน 330.8 ตร.วา ใกล้วัดพระธาตุผาซ่อนแก้ว ขายที่ดิน 7 แปลง แปลง#1 ขนาด 217 ตร.วา ราคา 2,170,000 บาท หน้ากว้าง 32 ม. ลึก 33 ม. แปลง#2 ขนาด 382.5 ตร.วา ราคา 3...
ขายที่ดิน เพชรบูรณ์ | เข้าชม 393 ครั้ง
ขายที่ดินเปล่า โฉนดครุฑแดง เขาค้อ ต.แคมป์สน 330.8 ตร.วา ใกล้วัดพระธาตุผาซ่อนแก้ว แปลง03
ขายที่ดินเปล่า โฉนดครุฑแดง เขาค้อ ต.แคมป์สน 382.5 ตร.วา ใกล้วัดพระธาตุผาซ่อนแก้ว แปลง02
ขาย ที่ดิน โฉนดครุฑแดง เขาค้อ ต.แคมป์สน 382.5 ตร.วา ใกล้วัดพระธาตุผาซ่อนแก้ว ขายที่ดิน 7 แปลง แปลง#1 ขนาด 217 ตร.วา ราคา 2,170,000 บาท หน้ากว้าง 32 ม. ลึก 33 ม. แปลง#2 ขนาด 382.5 ตร.วา ราคา 3...
ขายที่ดิน เพชรบูรณ์ | เข้าชม 424 ครั้ง
ขายที่ดินเปล่า โฉนดครุฑแดง เขาค้อ ต.แคมป์สน 382.5 ตร.วา ใกล้วัดพระธาตุผาซ่อนแก้ว แปลง02
ขาย ที่ดินเปล่า โฉนดครุฑแดง เขาค้อ ต.แคมป์สน 217 ตร.วา แปลง01
ขาย ที่ดิน โฉนดครุฑแดง เขาค้อ ต.แคมป์สน 217 ตร.วา ใกล้วัดพระธาตุผาซ่อนแก้ว :: จุดเด่น :: - บรรยากาศดี อากาศบริสุทธิ์ วิวภูเขา - ใกล้ถนนทางหลวงสายพิษณุโลก-หล่มสัก - ใกล้วัดพระธาตุผาซ่อนแก้ว ...
ขายที่ดิน เพชรบูรณ์ | เข้าชม 350 ครั้ง
ขาย ที่ดินเปล่า โฉนดครุฑแดง เขาค้อ ต.แคมป์สน 217 ตร.วา แปลง01
ขาย ที่ดิน แหล่งท่องเที่ยว 4 ไร่ ใกล้ทางขึ้นเขาค้อ เพชรบูรณ์
ขาย ที่ดิน แหล่งท่องเที่ยว 4 ไร่ใกล้ทางขึ้นเขาค้อ เพชรบูรณ์ ::จุดเด่น:: 1.ขายถูกมาก เกือบเท่าราคาประเมิน เจ้าของจำเป็นใช้เงิน 2.อยู่ในทำเลแหล่งท่องเที่ยว สามารถพัฒนาเป็นรีสอร์ทหรือโฮมสเตย์​ได้ 3.บ...
ขายที่ดิน เพชรบูรณ์ | เข้าชม 692 ครั้ง
ขาย ที่ดิน แหล่งท่องเที่ยว 4 ไร่ ใกล้ทางขึ้นเขาค้อ เพชรบูรณ์
[Duplicate]ขาย ที่ดิน ขายที่ดิน วิเชียรบุรี เพชรชบูรณ์ เนื้อที่ 67 ไร่ 1 งาน 29 ตร.วา .
ขาย ที่ดิน ขายที่ดิน วิเชียรบุรี เพชรชบูรณ์ เนื้อที่ 67 ไร่ 1 งาน 29 ตร.วา :: รายละเอียด :: - ขนาด 67 ไร่ 1 งาน 29 ตร.วา ขายที่ดิน ใน สามแยก, วิเชียรบุรี ขายที่ดิน อ.วิเชียรบุรี จ.เพชรชบ...
ขายที่ดิน เพชรบูรณ์ | เข้าชม 615 ครั้ง
[Duplicate]ขาย ที่ดิน ขายที่ดิน วิเชียรบุรี เพชรชบูรณ์ เนื้อที่  67 ไร่ 1 งาน 29 ตร.วา .
ขาย ที่ดิน ใจกลางเมืองเพชรบูรณ์ ริมถนนเทพาพัฒนา 773 ตรว CC.
ขาย ที่ดิน ริมถนนเทพาพัฒนา ใจกลางเมืองเพชรบูรณ์ 773 ตรว CC. :: จุดเด่น :: - ถนนกว้าง 12 เมตร รถสวนสบาย - ทำเลพลุกพล่าน เหมาะทำการค้า สำนักงาน - เดินทางสะดวก ใจกลางเมืองเพชรบูรณ์ :: รายละเอี...
ขายที่ดิน เพชรบูรณ์ | เข้าชม 39 ครั้ง
ขาย ที่ดิน ใจกลางเมืองเพชรบูรณ์ ริมถนนเทพาพัฒนา  773 ตรว  CC.
ขาย ที่ดิน ซอยเทพาพัฒนา 7 กลางเมืองเพชรบูรณ์ 780 ตรว ใกล้ ถ.เทพาพัฒนา แค่ 100 ม. CC
ขาย ที่ดิน เมืองเพชรบูรณ์ 1 ไร่ 3 งาน 80 ตรว :: จุดเด่น :: - ถนนกว้าง 8 เมตร รถสวนสบาย - บรรยากาศ เงียบสงบ ปลอดภัย เหมาะสร้างบ้านพักอาศัย - เดินทางสะดวก ใกล้ ถ.เทพาพัฒนา แค่ 100 ม. :: รายละ...
ขายที่ดิน เพชรบูรณ์ | เข้าชม 46 ครั้ง
ขาย ที่ดิน ซอยเทพาพัฒนา 7 กลางเมืองเพชรบูรณ์ 780 ตรว ใกล้ ถ.เทพาพัฒนา แค่ 100 ม. CC
ขาย ที่ดิน ที่นา หนองไผ่ เพชรบูรณ์ 6 ไร่ 2 งาน 65 ตรว ใกล้วัดธรรมยาน
ขาย ที่ดิน ที่นา หนองไผ่ เพชรบูรณ์ 6 ไร่ 2 งาน 65 ตรว ใกล้วัดธรรมยาน :: จุดเด่น :: ใกล้วัดธรรมยาน(นาเฉลียง) :: รายละเอียด :: - ขนาด 6 ไร่ 2 งาน 65 ตร.วา เอกสาร นส4จ ติดถนนสาธารณะ หน้า-หลัง...
ขายที่ดิน เพชรบูรณ์ | เข้าชม 105 ครั้ง
ขาย ที่ดิน ที่นา หนองไผ่ เพชรบูรณ์ 6 ไร่ 2 งาน 65 ตรว ใกล้วัดธรรมยาน
ขาย ที่ดิน หล่มเก่า เพชรบูรณ์ 25 ไร่ 3 งาน 56 ตรว เหมาะสร้างบ้านพักอาศัย, รีสอร์ท
รหัสทรัพย์ L082654 ขาย ที่ดิน หล่มเก่า เพชรบูรณ์ 25 ไร่ 3 งาน 56 ตรว เหมาะสร้างบ้านพักอาศัย, รีสอร์ท :: จุดเด่น :: 1. ที่ดินติดแม่น้ำป่าสักมีน้ำทั้งปี การเดินทางสะดวก 2. ที่ดินพร้อมสวนมะขามมา...
ขายที่ดิน เพชรบูรณ์ | เข้าชม 160 ครั้ง
ขาย ที่ดิน หล่มเก่า เพชรบูรณ์ 25 ไร่ 3 งาน 56 ตรว เหมาะสร้างบ้านพักอาศัย, รีสอร์ท
ขาย ที่ดิน เมืองเพชรบูรณ์ 7 ไร่ 3 งาน 27.6 ตร.วา ติดถนนสาธารณะ เหมาะทำบ้านสวนเกษตร
ขาย ที่ดิน เมืองเพชรบูรณ์ 7 ไร่ 3 งาน 27.6 ตร.วา ติดถนนสาธารณะ เหมาะทำบ้านสวนเกษตร ::จุดเด่น:: 1.ติดถนนสาธารณะ 2.เหมาะทำสวนเกษตร 3.ราคาไม่แพง ::รายละเอียด:: - ขนาด 7 ไร่ 3 งาน 27.6 ตร.วา ...
ขายที่ดิน เพชรบูรณ์ | เข้าชม 302 ครั้ง
ขาย ที่ดิน เมืองเพชรบูรณ์ 7 ไร่ 3 งาน 27.6 ตร.วา ติดถนนสาธารณะ เหมาะทำบ้านสวนเกษตร
พรีเซ้นทรัพย์ดีปลายปี ที่บนเนินเขา สูงจากน้ำทะเล หล่มเก่า เพชรบูร
ขายที่ดินสวยบนเขา แบ่งโฉนดขาย ไร่ละ 250000 บาท เช่า 1000 บาท/ไร่/ปี ต.หล่มเก่า อ.หล่มเก่า จ.เพชรบูรณ์ วิวเขา ใกล้ภูทับเบิก ที่ดินบนเนินเขาวิวสวยทิวทัศน์ดี บรรยากาศสดชื่น บริสุทธิ์ อากาศดี้ดีฟินสุดส...
ขายที่ดิน เพชรบูรณ์ | เข้าชม 15 ครั้ง
พรีเซ้นทรัพย์ดีปลายปี ที่บนเนินเขา สูงจากน้ำทะเล หล่มเก่า เพชรบูร
ขายบ้านพร้อมที่ดิน 7 ไร่ เนี้อที่ใช้สอย 700 ตร.ม.ตำบลแคมป์สน อำเภอเขาค้อ
ขายบ้านพร้อมที่ดิน 7 ไร่ เนี้อที่ใช้สอย 700 ตร.ม. มี 4 ห้องนอน 6 ห้องน้ำ 2 ห้องโถง 3 ห้องเก็บของ 1 ห้องเก็บเครื่องมือ 3 ที่จอดรถ แท็งนำ้ 36000 ลิตร ไฟฟ้า 3 เฟสปลูกต้นไม้ผลหลากหลาย 20 กว่าต้น อยู่ตำบล...
ขายที่ดิน เพชรบูรณ์ | เข้าชม 11 ครั้ง
ขายบ้านพร้อมที่ดิน 7 ไร่ เนี้อที่ใช้สอย 700 ตร.ม.ตำบลแคมป์สน อำเภอเขาค้อ
โปรปังทรัพย์ดีปลายปี68 ที่บนเนินเขา สูงจากน้ำทะเล หล่มเก่า เพชรบู
ขายที่ดินสวยบนเขา แบ่งโฉนดขาย ไร่ละ 250000 บาท เช่า 1000 บาท/ไร่/ปี ต.หล่มเก่า อ.หล่มเก่า จ.เพชรบูรณ์ วิวเขา ใกล้ภูทับเบิก ที่ดินบนเนินเขาวิวสวยทิวทัศน์ดี บรรยากาศสดชื่น บริสุทธิ์ อากาศดี้ดีฟินสุดส...
ขายที่ดิน เพชรบูรณ์ | เข้าชม 27 ครั้ง
โปรปังทรัพย์ดีปลายปี68 ที่บนเนินเขา สูงจากน้ำทะเล หล่มเก่า เพชรบู
โปรปังทรัพย์ดีปลายปี68 ที่บนเนินเขา สูงจากน้ำทะเล หล่มเก่า เพชรบู
ขายที่ดินสวยบนเขา แบ่งโฉนดขาย ไร่ละ 250000 บาท เช่า 1000 บาท/ไร่/ปี ต.หล่มเก่า อ.หล่มเก่า จ.เพชรบูรณ์ วิวเขา ใกล้ภูทับเบิก ที่ดินบนเนินเขาวิวสวยทิวทัศน์ดี บรรยากาศสดชื่น บริสุทธิ์ อากาศดี้ดีฟินสุดส...
ขายที่ดิน เพชรบูรณ์ | เข้าชม 28 ครั้ง
โปรปังทรัพย์ดีปลายปี68 ที่บนเนินเขา สูงจากน้ำทะเล หล่มเก่า เพชรบู
ขาย วิลล่า เขาค้อ (ใกล้จุดชมวิวทะเลหมอก และ วัดพระธาตุพาซ่อนแก้ว) บนเนื้อที่ 259 ตร.ว. 450 ตร.ม. 10 ห้องนอน 10 ห้องน้ำ วิวภูเขาล้อมรอบ
ขาย วิลล่า เขาค้อ (ใกล้จุดชมวิวทะเลหมอก และ วัดพระธาตุพาซ่อนแก้ว) บนเนื้อที่ 259 ตร.ว. 450 ตร.ม. 10 ห้องนอน 10 ห้องน้ำ วิวภูเขาล้อมรอบ มีหมอกทุกเช้า **รายละเอียดทรัพย์** วิลล่า เขาค้อ (ใก...
ขายบ้าน เพชรบูรณ์ | เข้าชม 311 ครั้ง
ขาย วิลล่า เขาค้อ (ใกล้จุดชมวิวทะเลหมอก และ วัดพระธาตุพาซ่อนแก้ว) บนเนื้อที่ 259 ตร.ว. 450 ตร.ม. 10 ห้องนอน 10 ห้องน้ำ วิวภูเขาล้อมรอบ
ขายที่ดินเพชรบูรณ์ วังชมพู กว้างติดถนน สระบุรี-หล่มสัก เพียง 500
ขายที่ดิน เพชรบูรณ์ วังชมพู ที่ดินกว้างติดถนน สระบุรี-หล่มสัก เพียง 500 เมตร เนื้อที่ 210-2-23 ไร่ 84,223 ตารางวา ขายไร่ละ 904,000 บาท ตารางวาละ 2,260 บาท ขายรวม 190,343,980 บาท ...
ขายที่ดิน เพชรบูรณ์ | เข้าชม 21 ครั้ง
 ขายที่ดินเพชรบูรณ์ วังชมพู กว้างติดถนน สระบุรี-หล่มสัก เพียง 500
บิ๊กซี หล่มสัก 1.5 กม. รพ.หล่มสัก 1.3 กม.ให้เช่าบ้าน 1 ชั้น 1 หล
ริมน้ำไทหล่ม ให้เช่าบ้าน 1 ชั้น 1 หลัง พร้อมโกดังเก็บของ 192ตร.วา. 762ตร.ม. 1 นอน 1 น้ำ ตลาด14,998 B-M. เหมาะกับร้านค้าขาย ใกล้ชุมชน รพ.หล่มสัก 1.3 กม.ถ.สามัคคีชัย วงเวียนหอนาฬิกา หล่มสักสวนดงตาล 1.1 ...
ขายบ้าน เพชรบูรณ์ | เข้าชม 30 ครั้ง
บิ๊กซี หล่มสัก 1.5 กม.  รพ.หล่มสัก 1.3 กม.ให้เช่าบ้าน 1 ชั้น 1 หล
ให้เช่าบ้าน 1 ชั้น 1 หลัง บิ๊กซี หล่มสัก 1.5 กม. รพ.หล่มสัก 1.3 ก
ให้เช่าบ้าน 1 ชั้น 1 หลัง บิ๊กซี หล่มสัก 1.5 กม.พร้อมโกดังเก็บของ 190 ตร.วา. 760 ตร.ม. 1 นอน 1 น้ำ ตลาดริมน้ำไทหล่ม สวนดงตาล 1.1 กม. 14,999 B-M. เหมาะกับร้านค้าขาย ใกล้ชุมชน รพ.หล่มสัก 1.3 กม. ถ.สามั...
ขายบ้าน เพชรบูรณ์ | เข้าชม 29 ครั้ง
ให้เช่าบ้าน 1 ชั้น 1 หลัง บิ๊กซี หล่มสัก 1.5 กม. รพ.หล่มสัก 1.3 ก
รพ.หล่มสัก 1.3 กม.ให้เช่าบ้าน 1 ชั้น 1 หลัง บิ๊กซี หล่มสัก 1.5 กม
ริมน้ำไทหล่ม สวนดงตาล 1.1 กม.ให้เช่าบ้าน 1 ชั้น 1 หลัง พร้อมโกดังเก็บของ 192ตร.วา. 762ตร.ม. 1 นอน 1 น้ำ ตลาด14,998 B-M. เหมาะกับร้านค้าขาย ใกล้ชุมชน รพ.หล่มสัก 1.3 กม. บิ๊กซี หล่มสัก 1.5 กม. ถ.สามัค...
ขายบ้าน เพชรบูรณ์ | เข้าชม 31 ครั้ง
รพ.หล่มสัก 1.3 กม.ให้เช่าบ้าน 1 ชั้น 1 หลัง บิ๊กซี หล่มสัก 1.5 กม
รพ.หล่มสัก 1.3 กม.ให้เช่าบ้าน 1 ชั้น 1 หลัง บิ๊กซี หล่มสัก 1.5 กม
พร้อมโกดังเก็บของ 190 ตร.วา.ให้เช่าบ้าน 1 ชั้น 1 หลัง บิ๊กซี หล่มสัก 1.5 กม.760 ตร.ม. 1 นอน 1 น้ำ ตลาดริมน้ำไทหล่ม สวนดงตาล 1.1 กม. 14,999 B-M.เหมาะกับร้านค้าขาย ใกล้ชุมชน รพ.หล่มสัก 1.3 กม.ถ.สามัคคีช...
ขายบ้าน เพชรบูรณ์ | เข้าชม 33 ครั้ง
รพ.หล่มสัก 1.3 กม.ให้เช่าบ้าน 1 ชั้น 1 หลัง บิ๊กซี หล่มสัก 1.5 กม
  ดูประกาศขายบ้านและที่ดินทั้งหมดในหมวด บ้านและที่ดินเพชรบูรณ์
Add friend

ประกาศขายบ้านและที่ดินตามภูมิภาค

บ้าน-ที่ดินภาคกลาง

บ้าน-ที่ดินภาคใต้

บ้าน-ที่ดินภาคเหนือ

บ้านที่ดินภาคตะวันตก